L'assignation sexuelle peut être très fluide chez les plantes - avec des populations souvent composées d'un mélange de femelles, de mâles et d'hermaphrodites (plantes avec les deux ensembles fonctionnels d'organes sexuels). On pense que l'équilibre des sexes reflète les pressions environnementales - telles que l'isolement de la population et la constitution génétique des plantes. Les botanistes ont généralement supposé que les plantes hermaphrodites sont mieux adaptées pour survivre dans des conditions de stress environnemental et là où le nombre de plantes est faible. Cela est probablement dû au fait que la pollinisation se fait sur des distances plus courtes et que les plantes dépendent moins des vecteurs de pollinisation.
Cependant, être hermaphrodite décourage activement la consanguinité (augmentant le danger de « dépression de consanguinité »), et on pense que les stress environnementaux ont diminué. Il existe de nombreux cas où des groupes de plantes hermaphrodites ont évolué au fil du temps en individus du même sexe (terme technique « dioïque »). '). Une question clé est de savoir comment l'équilibre des sexes est maintenu dans ces populations dioïques lorsque l'environnement commence à sélectionner contre un sexe ou l'autre - conduisant à ce que l'on appelle la «limitation des partenaires».

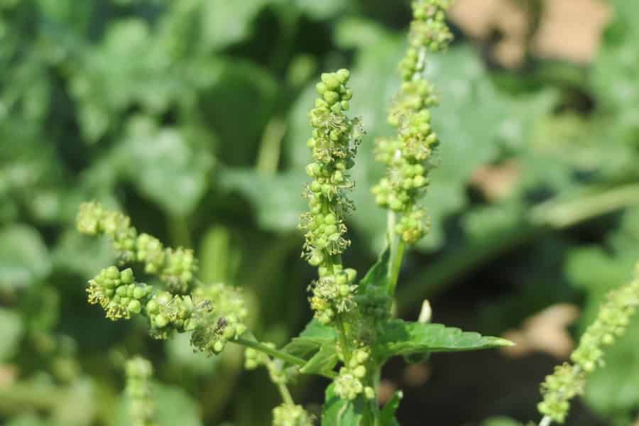
In un article récemment publié dans Current Biology, Guillaume Cossard et ses collègues du groupe de John Pannell à Lausanne décrivent comment ils ont réalisé un contrôle complexe et soigneusement contrôlé 'évolution expérimentale' expérience pour répondre à cette question. Ils ont retiré les plantes mâles d'une population soigneusement contrôlée de mercure annuel dioïque (Mercuralis annuelle) plantes avec un équilibre mâle:femelle 'standard' 1:1 et ont examiné les conséquences sur quatre générations. À leur grande surprise, un grand nombre de plantes auparavant femelles ont commencé à développer des fleurs mâles. Comme mentionné ci-dessus, cela peut arriver très occasionnellement dans des populations normales, mais dans ces expériences, 23 fois plus de fleurs femelles se sont comportées de cette façon. Une autre observation inattendue était que les plantes désormais bisexuées développaient non seulement la capacité de s'autoféconder, mais augmentaient également la production de graines à la fois en l'absence de plantes mâles et lorsque des plantes mâles étaient réintroduites dans la population.
Cela a-t-il une pertinence pour les populations de plantes du monde réel plutôt qu'expérimentales ? Certes, l'évolution de cet « hermaphrodisme fonctionnel » serait d'un fort avantage adaptatif là où l'équilibre entre les sexes est perturbé. Une perturbation peut se produire lorsque la densité des plantes diminue pendant la colonisation ou l'expansion de l'aire de répartition - ou simplement lorsque des plantes individuelles sont hors de l'aire de pollinisation d'un autre membre de l'espèce. Cela peut également expliquer l'apparition de populations «androdioïques» dans la nature où les plantes mâles coexistent avec des hermaphrodites - ce qui suggère qu'elles peuvent être dérivées de populations qui ont perdu puis gagné des plantes mâles - mais ont généré des hermaphrodites pour les «dépanner» dans l'intérimaire.
Comme pour toutes les bonnes expériences, ce travail génère plus de questions qu'il n'apporte de réponses – notamment, existe-t-il un « signal de languissement » qui pousse les plantes femelles solitaires à commencer à développer des fleurs mâles ?
